
22 Temmuz 2015 günü yaptığımız Adalar Belediyesinin yetenekli başkan yardımcısı! başlıklı haberimizde Adalar Belediyesi Başkan Yardımcısı Yaşar Kıroğlu’na bazı sorular sormuş ve cevaplarını beklemiştir. Ancak cevabı gazetemize beklerken bize değil adada sağda solda “o tereke mühür yahu” değip bizi küçümser daha doğrusu haberin yanlış olduğunu ima eden ve buna da destek veren Adalar Belediye Başkanı Atilla Aytaç’a cevabımızı veriyoruz.
Yapılanlar, tereke mühürü arkasına saklanmayı bekleyen yöneticilere cevabımızdır. Buradaki amacımız katledilen Adalarımızın sahil şeridinin nasıl bir rant kapısına dönüştüğünü YAPANIN YANINA KAR KALMAYACAĞINI ve bundan sonra paralarının gücüne güvenip devletin milletin ve adalıların hakkına kast edenleri deşifre etmektir.
Bir uyarıda 30 ve 31 Temmuz 2015 günü toplanan ve şu an toplantıda olan İstanbul V. KVKK gündeminde Adalar İlçesi için gizli, kısa süreli ve bazı yerler için geçiş dönemi yapılaşma koşulları görüşüleceğini öğrendik.Takipçisi olacağımızı belirtiyoruz…
UZMAN BİLİRKİŞİ RAPORUDUR
Öncelikle bu parsele ait belgeler ve mevcut fotoğrafların incelenmesi tek tek yapalım.
1- Mülk sahibi Feriha SÖNMEZLER evinin önüne havuz yaptırtmak ve kagir evinin altındaki bahçe katının kat yüksekliğini arttırmak ve bina altında kalan dolgu durumunda olan mahallerin bina içinden kazılarak odaya çevrilmesi ve yeni yaşam mahalleri oluşturulmasını arzu etmesi ile başladığı görülmüştür. (Yapı Tatil tutanağındaki tespitler)
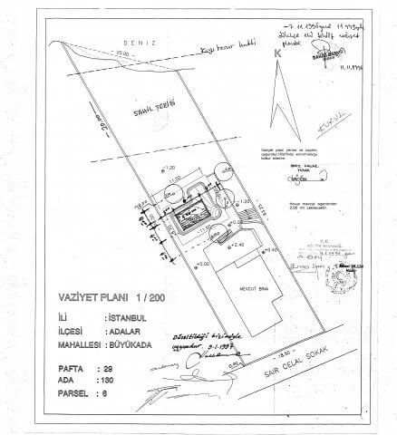
2- Feriha SÖNMEZLER çevresinden araştırarak bulduğu Mimar Deniz KANIAK anılan yerin SİT ALANI olduğu ve 1/1000 ölçekli koruma amaçlı imar planının hala tasdik aşamasında olmasından dolayı muhtemelen kagir binanın zemin katında talep ettiği gibi bir büyütme yapılması için ruhsat alınmasının mümkün olmayacağını ancak havuz için müracaat yapılabileceğini, beyan ederek mülk sahibinden vekalet çıkartarak yapılan havuz ve perde arkası bina büyütme inşaat için iş ve işlemleri takip etmek ve vekalet alarak yapılması için izin istenen havuzun ölçekli planında konumunu gösterir mevcut Vaziyet planı 06/11/1996 tarih ve 2751 sayı ile altına “VAZİYET PLANI YERİNE VE ÇAPINA UYGUNDUR.HİLAFINDA SORUMLULUĞU KABUL EDERİM” yazarak imzalamış ve Belediyeye o şekilde Havuz teklif müracaatını yaptığı görülmektedir.
3- Adalar Belediyesi de Kültür Bakanlığı III nolu Kültür Varlıkları ve Tabiat Varlıklarını Koruma Kuruluna söz konusu parselin imar durumunu ve Mimar Deniz KANIAK dilekçe müracaatını , teklif vaziyet planını,1/1000,1/5000 ölçekli plan örneklerini, tapu, çap, aplikasyon prj, 3 adet vaziyet planı, fotoğraf albümü, dilekçe fotokopisi ve ağaç revizyonunu 11/11/1996 tarih ve 96/1154 sayı ile göndermiş kurul kararını talep ettikleri görülmektedir.
4- III nolu K.V.T.V.K. Kuruluna gönderilen 1/5000 nazım imar planın üzerinde “Büyükada 30/06/1994 tarihli 1/5000imar planıdır” yazısı yazılarak Ünal ELEMAN tarafından 2/09/1996 tarihinde imzalanarak aslı gibidir yaptığı görülmüştür. Ancak 02/09/1996 tarihli onayladığı projede 29 Pafta,130 Ada,6 parselde iskele görülmemektedir.
5- III nolu K.V.T.V.K. Kuruluna gönderilen 1/1000 Halihazır imar planın üzerinde “Büyükada …/…/1996 tarihli 1/1000 ölçekli Halihazır haritadır” yazısı yazılarak Ünal ELEMAN tarafından 11/11/1996 tarihinde imzalanarak aslı gibidir yaptığı görülmüştür. Ancak 11/11/1996 tarihli onayladığı projede 29 Pafta,130 Ada,6 parselde iskele görülmektedir. 02/09/1996 tarihli nazım planında iskelenin görülmeyişi 11/11/1996 tarihli 1/1000 ölçekli halihazır imar planında iskelenin görülüşü aradan geçen iki ay zarfında anılan parsele bir iskelenin de yapıldığını ancak ruhsat müracaatlarının olmadığını göstermektedir.
6- III nolu K.V.T.V.K. Kuruluna gönderilen 1/1000 Halihazır imar planın üzerinde “Büyükada projede 29 Pafta,130 Ada,6 parseldeki ağaç tespiti tarafımdan yapılmıştır” yazısı yazılarak Ünal ELEMAN tarafından 02/09/1996 tarihinde imzalanarak aslı gibidir yaptığı görülmüştür. Ancak 02/09/1996 tarihli onayladığı projede 29 Pafta,130 Ada,6 parselin kıyı hattı görülmekte ama iskele yine görülmektedir. 4 Adet ağacın parsel kenarlarından mesafeleri alınarak projeye işlenmiş ve ağaç revizyon projesi Ünal ELEMAN tarafından hazırlanıp kurula gönderildiği görülmektedir. Ağaç revizyon projesi üzerinde talep edilen havuzun şekli ölçeksiz olarak üzerine karalandığı ve ağaçlara zarar vermeden plana yerleşebileceğinin ön çalışmasının yapıldığı görülmektedir.
7- Teklif vaziyet planında Mimar Bahar BAŞKIR tarafından “7/11/1996 genel 1154 sayılı dilekçe ekli vaziyet planıdır” yazısını yazarak aslının aynıdır olduğunu gösterir imzasını attığı, projeyi hazırlayan ve sunan Mimar Deniz KANIAK’ın “VAZİYET PLANI YERİNE VE ÇAPINA UYGUNDUR.HİLAFINDA SORUMLULUĞU KABUL EDERİM” yazarak imzaladığını, altına hazırladığı vaziyet teklif projesinde uygulaması yapılacak havuzun ağaç revizyon projesinde tespit edilen çam ağaçlarından 2’şer mt çekilerek havuzun araziye aplike edildiği ancak kurul üyelerinin bu projeyi kabul etmedikleri ve yapılması gereken havuz aplikasyonunu vaziyet planına işledikleri ve “Düzeltildiği şekli ile uygundur” onayını verdikleri III nolu K.V.T.V.K. Kurulundan sırasıyla Mühendis Ercan SEZEN,Müdür Bülent Bilgin,Kurul üyesi Lütfü YAZICIOĞLU, Kurul üyesi Nuran Zeren GÜLERSOY, Kurul üyesi Oktay ASLANAPA,
Başkan Yardımcısı Turgut ÖVÜNÇ, Başkan Hakkı ÖNELtarafından imzalanarak kurul kararını Teklif vaziyet planına işlemiş oldukları görülmüştür.
8- 12/11/1996 tarihli 2696 sayılı Müdürlük makamına yazılan raporda Hüseyin ÖCÜK ve Ercan SEZEN “Havuzun yapılacağı yere herhangi ağacın denk gelmediğini ancak yakın çevresinde gerek fotoğraf gerekse gerekse vaziyet planında görüldüğü gibi korunması gerekli nitelikte çam ağaçları bulunmaktadır” tespitini yapmışlar ve 27/11/1996 tarihinde imzalayıp makama sundukları görülmektedir.
9-25/02/1998 tarihli 59 sayılı karar ile Adalar Belediye Encümeninin Büyükada 29 Pafta,130 Ada,6 parseldeki ruhsata aykırı inşaat dolayısıyla YIKIM ve PARA CEZASI kesilmesi hakkında kararında özetle “ İmar ve Planlama Müdürlüğünün 20/02/1998 tarih 97/1955 sayılı teklifi gereği 5/1/1998 tarihinde yapılan kontrolde binanın deniz cephesindeki terasın altının hafredilmek sureti ile kısmi bodrum katı yapılmakta olduğu ve ayrıca parselin denize doğru uzantısında 5×10 mt ebatlarında havuz yapılmakta olduğu görülerek 5/1/1998 tarih 24/25 sayılı yapı tatil tutanağı tanzim edilmiş ve inşai faaliyet mühür altına alınarak faaliyetine son verilmiştir.
3194 sayılı kanunun 42. Maddesine göre 3506-3591 sayılı yasa hükümleri uygulanarak yapı sahibi Feriha Sönmezler’e 500.000.000.-TL para cezası verilmesine İmar Müdürlüğünün 1997/1955 sayılı raporundan yapının mevzuata göre ruhsata bağlanamayacağı anlaşıldığından zeminin eski hale getirilmesine getirilmediği takdirde 3194 S.K’nun 32. Maddesinin uygulanmasına Belediye Encümeninin 25/02/1998 tarihli encümen toplantısına katılan üyelerin oy birliği ile karar verildi “ kararı görülmektedir.
10- 5/1/1998 tarihli yapı tatil tutanağında; 29 Pafta,130 Ada,6 parseldeki Asaf Derviş Sk ,Kapı No:18 Feriha Sönmez’e ait binanın arazi kesiti çıkarılmış ve “yapılan kontrolde binanın deniz cephesindeki terasın altının hafredilmek sureti ile kısmi bodrum katı yapılmakta olduğu ve ayrıca parselin denize doğru uzantısında 5×10 mt ebatlarında havuz yapılmakta olduğu görülerek mühür altına alınmıştır” denmekte ve Kanunun 32. Maddesine aykırı yapılan yapıya 30 gün içerisinde ruhsat alınması veya ruhsata uygun hale getirilmesini yoksa 3194 S.K 32-42 Maddelerinin uygulanacağını tutulan Yapı Tatil tutanağının bir sureti inşaat mahalline asılmış bir sureti de alakalı mahalle muhtarına bırakıldığı ve Teknik Elemanlardan Mimar M.Utkan, İnş Müh. S.Uzunay, Zabıta Memuru İ.ER tarafından imzalandığı gereğinin yapıldığı görülmektedir.
11- 29 Pafta,130 Ada,6 parseldeki arsaya binanın yapılması için İstanbul Belediyesine 08/07/1946 tarihinde müracaat yapılmış ve o tarihlerdeki arsanın vaziyet planı İstanbul Belediyesi Fen İşleri Müdürlüğüne muamelat 8375 sayı ile girmiş Harita Şubesine 3893 sayı havale edilmiş ve “ sözü geçen arsaya inşa edilmek istenen binanın vaziyet plan mahaline uygun olduğunu tasdik kılınmış ” olan yazılarını yetkili imzaların atıldığı görülmektedir.
12-29 Pafta, 130 Ada, 6 parsele 1946 yılında yapılan tam kagir binanın iskan müracaatı için Büyükada Meşrutiyet Mah., Şair Celal Sok 6 sayılı arsaya Semiha ve Bedri GÖKNİL tarafından inşa edilen tam kagir binaya bina bittikten ve projesine ve yapı yollar kanununu talimatnamesine uygun şekilde yapıldığı görülmüştür. 22/06/1946 tarihinde yetkili Adalar Fen H. Şefi ve Adlar B. Baş Hekimi tarafından imza altına alınıp iskan evrağının hazırlandığı görülmüştür.
13– Fotoğraflarda yapılan incelemede arazi üzerindeki çam ağaçlarının gövde çaplarına ve boylarına bakıldığında çoğunluğunun yaşlarının tahminen 30-40 yıllık tarihi ağaçlar olduğu görülmektedir.
14- Fotoğraflarda havuzun yapılmış şeklinin kurul kararına aykırı şekilde yapıldığı oysa kurul kararını Adalar Belediyesi adına bizzat Başkan olan Can ESEN’in imzaladığı dolayısıyla yapılan havuz inşaatının kurul kararına aykırı yapılmasından dolayı Belediyenin sorumlu mıntıka mühendisinin, İmar Müdürünün ve Belediye Başkanı Can ESEN’in direk sorumlu olduğu görülmektedir.
15- 9/01/1997 tarih 8984 tarihli III nolu Kültür Varlıkları ve Tabiat Varlıklarını Koruma Kurulu cevabi yazılarında “telif edilen havuz önerisinin Kurulumuzca düzeltildiği şekliyle yapılabileceği,uygulama sırasında mevcut ağaçlara zemin üstü ve altında 4 mt’den fazla yaklaşılmamasına,uygulama aşamasında mevcut ağaçlara zarar verilmemesi gerektiğine” karar verildiği görülmektedir.
16- III nolu Kültür Varlıkları ve Tabiat Varlıklarını Koruma Kurulu kendilerine sunulan teklif vaziyet planına işli havuz projesinin ağaç revizyon projesine göre 9/01/1996 tarih 8984 saylı kararlarına uygun havuz düzeltmelerini yapıp havuzun teklif edilen alanın 60m2’den 4*6 =24 m2’indirmişler ve plan üzerinde nasıl ve büyüklükte yapılması gerektiğini vaziyet planına işleyip verdikleri karara ekleyip Adalar Belediyesine gönderdikleri görülmektedir.
17- III nolu Kültür Varlıkları ve Tabiat Varlıklarını Koruma Kurulu cevabi yazılarında mevcut ağaçlarda en az 4mt çekilmesi gerektiğini gösterir karar tutanağının yazı eklerinde Adalar Belediyesine gönderildiği görülmektedir.
18- 9/01/1997 tarih 8984 tarihli III nolu Kültür Varlıkları ve Tabiat Varlıklarını Koruma Kurulu Kararında o dönemin Belediye Başkanı Can ESEN’de imzasının da olduğu görülmektedir. Dolayısıyla eskiye ait uygulamalardan dolayı yargıda görevi ihmal suçu sabit görülürse Eski Belediye Başkanı Can ESEN’de aynı suçla yargılanabilecektir.
Belgelerin incelenmesi 18 maddede sıralanmış olup ilgili kanunlar ve uygulamada olan yönetmelikler bakımından 29 Pafta, 130 Ada, 6 parselde yapılan havuz işinin irdelemesini yapacak olursak,
Özet ile ;
1946 yılında arsa olan ve yapı için o vakitler Adalar ilçesi Belediye olmadığından İstanbul Belediyesine müracaat yapılmış ve Vaziyet planı ve iskan müracaatları yapılmış olan bina 25/07/1966 tarihinde el değiştirip Feriha Sönmezler adına geçmiş bu defa 6/11/1996 tarihinde ise Feriha Sönmezler mülkünün deniz tarafındaki cephesinin önüne havuz inşaatı yapmak için Mimar Deniz KANIAK’a vekalet vermiş , kuruldaki işlemleri takip etmek için yetkilendirmiş ve yapılacak havuz inşaatı için Adalar Belediyesine müracaat edilmiş Adalar Belediyesi tarafından III nolu Kültür Varlıkları ve Tabiat Varlıklarını Koruma Kuruluna sunulan Teklif Vaziyet Planına Kurulun talep edilen havuz inşaatı alanını 60 m2’den 24 m2’ye indirerek inşaat mahallindeki mevcut 4 adet korunması gerekli çam ağacına zarar verilmemesi şartıyla havuz inşaatına 9/01/1996 tarihinde onay vermiş bunun üzerine Feriha Sönmezler ve Mimarı Deniz KANIAK Havuz inşaatı için alınan kurul onayı ile mevcut evin zemin katının altına kısmı bodrum katı yapmaya başlamış onaylanan havuz inşaatı ruhsatı ile ruhsata aykırı inşaat işlerine başlayınca da Adalar Belediyesi 5/01/1998 tarihinde yapı tatil tutanağı ile inşaatı mühürlemiştir. 25/02/1998 tarihli 59 sayılı karar ile Adalar Belediye Encümeninin Büyükada 29 Pafta,130 Ada,6 parseldeki ruhsata aykırı inşaat dolayısıyla YIKIM ve PARA CEZASI kesilmesi kararı çıkarılmıştır. Adalar Belediyesinin Yapı tatil tutanağını tutması ve encümen para cezası ile yıkım kararını alması ile mal sahibi tarafından yapılan havuz tekrar doldurularak eski haline getirilmeye çalışılmıştır. Her ne kadar havuz doldurularak eski haline getirildi gibi gözükse de havuzun imalatının sahil şeridinde yapılmış olması yeterli yargılanma suçunu oluşturmaktadır.
Onaylı vaziyet planında görüldüğü gibi bina çevresi +0.40mt kotunda havuzun yapılacağı yer ise -1.20mt kotunda olup bina ile havuz kotu arasında 1.60mt kot farkı olması gerekirken fotoğraflardan görüldüğü üzere iki kademeli taş duvar ile terasman şeklinde yapılan kademe sistemimde iki kademede aşağı yukarı 4 mt’yi geçen bir kot farkı yapıldığı gözükmektedir. Burdan çıkan sonuç şudur; havuz yerinde yapılmadığı gibi kurulun 24m2 ye indirdiği havuzu 50 m2 olarak sahil sınır çizgisi içerisinde yapıldığı, havuzdan çıkan dolgunun ise terasmanlara dolgu olarak konduğunu ve taş duvarlarla terasmanların yapıldığı artan dolgunun ise rıhtım yapılmasında kullanılarak denizin doldurulduğu ve üstüne betonarme imalat yapıldığı,1/5000 nazım İmar planında ve Mimarı Deniz KANIAK tarafından hazırlanan ve tüm sorumluluğunu kabul ettiği, Adalar Belediyesi teknik elemanlarınca da onaylı vaziyet planında görülmeyen iskelenin de alınan sözde havuz ruhsatı ile yapıldığı gibi bir sonuç çıkmaktadır. Yapı tatil tutanağında kaçak iskeleden bahsedilmemesi de iskelenin daha öncemi yapılıp yapılmadığını yapıldı ise vaziyet planına neden işlenmediği, iskele yapmanın/yaptırmanın ayrı suç olduğunun bilinmesinden dolayı suçu örtbas etmek için mi vaziyet planına işlenmediği ile kuşku verici varsayımları düşündürmektedir. En azından Proje müellifi olduğu kabulü ile Deniz KANIAK , Belediyenin İmar Müdürü , Mıntıka mühendisleri ile bizzat III nolu Kültür Varlıkları ve Tabiat Varlıklarını Koruma Kurulu Kararında imzası olan Belediye Başkanı Can ESEN’in konu hakkında ifadeleri ile netlik kazanabilir.
1/5000 Nazım İmar ve 1/1000 Halihazır İmar Planlarında 29 Pafta,130 Ada,6 parselin Kıyı Kenar Çizgisi yaklaşık 45 derecelik açı ile verev olarak sahilin iki ucunu birbirine bağlarken yukarıdaki sahil fotoğraflarında sahilin iki kenarı nerdeyse dik açı ile bağlandığı net gözükmektedir. Sahilde deniz dolgusu yapıldığı açıktır. Anılan mülkün sahibi arazisinin alanını denize dolgu yaparak artırdığı ortada olup Adalar Belediyesi Belediye Başkanının ve teknik kadrosunun deniz dolgusu ve Kıyı Kenar Çizgisinin değiştirilmesine herhangi müdahalesi de olmamış olduğu gözükmektedir. Tutulan Yapı Tatil Tutanağında Sahil Şeridi ve yapılan rıhtım ile iskeleden bahsedilmemesi bu uygulamalara göz yumulduğu sonucunu çıkartılmaktadır.
Adalar Belediyesinin 29 Pafta,130 Ada,6 parselin teklif vaziyet planını hazırlayıp Belediyeye sunan Mimar Deniz KANIAK ya mevcut durumdaki iskeleyi bilerek vaziyet planına işlememiştir yada iskele Teklif Vaziyet Planını verdiğinde yapılmamıştır ama bu seferde havuz ruhsatıyla iskelede kaçak olarak mı yapılmıştır kesin anlaşılamamaktaysa da her iki durumda da kesin olarak Mimar Deniz KANIAK III nolu Kültür Varlıkları ve Tabiat Varlıklarını Koruma Kurulunu aşmak için bu şekilde davrandığı açıktır.
Adalar Belediyesinin teknik elemanlarının iskelenin o tarihlerde mevcut olması halinde Teklif Vaziyet planına işlemeleri gerekmekteydi. Ayrıca sahil şeridinde yapılan rıhtımın ve Kıyı kenar çizgisinin Teklif vaziyet planında verev olduğu açıkça belliyken Teklif Vaziyet planının düzeltmemeleri bu suça ortak olduklarını göstermektedir.
Sahil Şeridinin Teklif vaziyet planında 20 mt olarak gözükmesine ve 3621Sayılı KIYI KANUNU göre söz konusu Sahil Şeridinde kesinlikle hiçbir tesis yapılamaz kanun hükmü varken ,kanuna aykırı hareket edip inşaat yapanlar için
3621 Sayılı KIYI KANUNU
Madde 13 – Bu Kanun kapsamında kalan alanlardaki uygulamaların kontrolü; belediye ve mücavir alan sınırları içinde belediye, dışında ise valilikçe yürütülür. İlgili bakanlıkların teftiş ve kontrol yetkileri saklıdır.
Madde 14 – Bu Kanun kapsamında kalan alanlarda ruhsatsız yapılar ile ruhsat ve eklerine aykırı yapılar hakkında 3l94 sayılı İmar Kanununun ilgili hükümleri uygulanır.
Madde 15 – Kıyıda ve uygulama imar planı bulunan sahil şeritlerinde duvar, çit, parmaklık, tel örgü, hendek, kazık ve benzeri engelleri oluşturanlara ikibin Türk Lirasından onbin Türk Lirasına kadar idarî para cezası verilir. Ayrıca oluşturulan engellerin beş günden fazla olmamak üzere belirlenen süre zarfında kaldırılmasına karar verilir. Bu süre zarfında engellerin ilgililer tarafından kaldırılmaması halinde, masrafı yüzde yirmi zammıyla birlikte kendilerinden kamu alacaklarının tahsili usulüne göre tahsil edilmek üzere kamu gücü kullanılmak suretiyle derhal kaldırılır. Kabahatin tekrarı halinde, ceza üst sınırdan verilir.
Birinci fıkrada sayılan yerlerden kum, çakıl alanlara üçbin Türk Lirasından onbeşbin Türk Lirasına kadar idarî para cezası verilir. (17 Nisan 1990 tarihli para ceza tutarlarıdır)
Birinci fıkrada sayılan yerlere moloz, toprak, cüruf, çöp gibi atık ve artıkları dökenler, atılan veya dökülen maddenin niteliğine, çevreyi kirletici ve bozucu etkisine göre Türk Ceza Kanunu, Kabahatler Kanunu veya Çevre Kanunu hükümlerine göre cezalandırılır.
Yukarıdaki fıkralarda sayılan fiillerin kıyının doğal yapısını bozacak bir etki meydana getirmesi halinde, daha ağır cezayı gerektiren bir suç oluşturmadığı takdirde, failleri hakkında altı aydan iki yıla kadar hapis cezasına hükmolunur.
Birinci fıkrada sayılan yerlerde ruhsatsız veya ruhsat ve eklerine aykırı olarak yapı yapan kişilere Türk Ceza Kanunu veya İmar Kanunu hükümlerine göre verilecek ceza bir kat artırılır.İlgili kanunlarda belirtilen makamların yetkileri saklı kalmak üzere, bu maddede belirtilen idarî yaptırımlara karar vermeye mahalli mülki amir yetkilidir.
Söz konusu cezalar yapan,yaptıran için geçerli cezalar olmasına rağmen encümen para cezasın da Proje Müellifi,Fenni Mesul veya müteahhit mi olduğu anlaşılamayan (belgelerde fenni mesul taahhütnamesi,müteahhitlik sözleşmesi vb görünmediğinden) Mimar Deniz KANIAK’a sorumluluğuna göre para cezası verilmemesi de İmar Şehircilik Müdürlüğünün anılan suçlar için dosyayı encümene sunarken eksik sunduğunu ve dolayısıyla eksik dosya sunumundan dolayı Mimar Deniz KANIAK’a (*en alt sınırı olan 500.000.000.-TL) para cezası verilmediğini göstermektedir. Burda da o dönemin İmar Şehircilik Müdürü görevi ihmal suçu işlediği görülmektedir. ( 3194 sayılı kanunun 42. Maddesine göre 3506-3591 sayılı yasa hükümleri uygulanarak yapı sahibi Feriha Sönmezler’e(* en alt sınırdan )500.000.000.-TL para cezası verilmesine İmar Müdürlüğünün 1997/1955 sayılı raporundan yapının mevzuata göre ruhsata bağlanamayacağı anlaşıldığından zeminin eski hale getirilmesine getirilmediği takdirde 3194 S.K’nun 32. Maddesinin uygulanmasına Belediye Encümeninin 25/02/1998 tarihli encümen toplantısına katılan üyelerin oy birliği ile karar verildi kararı)*üst sınır 25.000.000.000.-Tl’dir.
Sadece Yapı Tatil Tutanağındaki ruhsata aykırı inşai faaliyetler için (Kıyı kenar çizgisinin değiştirilmesi,sahil şeridinin işgal edilip rıhtım,duvar yapılması suçları hariç) en alt sınırdan ceza verilmesi ve proje mimarına verilmemesi mal sahibinin kollandığını göstermektedir.
Vaziyet planında tüm arsada tek kademeli toplamda 1.60cm kot farkı gözükürken fotoğraflardan görüldüğü üzere fiiliyatta toplamda 4mt’yi geçen iki kademeli kot farkları olduğu görmezden gelindiği anlaşılmaktadır. Belediyenin Harita Mühendisinin Ruhsat müracaatı ile beraber hazırlamak zorunda olduğu ama hazırlamadığı arazinin aplikasyon projesini veya röperli krokisini çıkartması halinde rıhtım dahil arsanın tamamını ölçmesi durumunda arsanın tapudaki alanı olan 1272,50 m2’den fazla çıkacağı da belli olup fazlalığın olduğu fotoğraflardan da görülmektedir.
Konuyu araştırmaya gelecek müfettişler yada bilirkişiler Teklif Vaziyet Planındaki havuz talebinin verilmesi ile Belediyenin Vaziyet planı üzerinden KOT KESİT BELGESİ , çıkartmaları gerekip te neden hazırlanmadığı soruşturmalarını ve doğru tespiti hemen yapacak gerçek ortaya çıkarabilecektir.
Özellikle Kıyı Kenar çizgisinin değiştirilmiş olduğu, denizin hafriyat ile doldurulmuş olduğu, Sahil Şeridinin yok edildiği, Sahil Şeridi üzerinde rıhtım, iskele yapılmış olduğu (havuzda 20 mt’lik sahil şeridinde yapılmış olabilir fotoğraflardan çok net anlaşılmamaktadır.
Ancak öyleyse 3621 Sayılı KIYI KANUNU göre daha büyük suç işlenmiş demektir.), şu anki 29 Pafta,130 Ada,6 parsel alanının tapusunda yazdığı 1272,50m2’den fazla olduğu, ağaç revizyon projesinde havuza denk gelen kayıtlı 4 adet korunması gereken çam ağaçlarının yerlerinde olmadığı (muhtemelen ağaçlar yer kazanılması amacı ile kesilmiştir), tabi zeminde oynandığı,Vaziyet planındaki kotların doğru olmadığı, Resmi evrakta yanıltıcı düzenlemeler yapıldığı, Belediyenin görevinin ruhsata aykırı olan yapılar için 3194 S.K’nun 32. Ve 42 maddelerini istisnasız uygulamak olduğu ancak her nedense Adalar Belediyesinin bu dosyadaki İlgili Kanunların emredici hükümleri uygulamaktan ziyade mülk sahibini cezai durumundan kurtaracak çözümlerin peşinde gittiğini, mülk sahibinin 3194 S.K 42. Maddesine göre ruhsata aykırı inşaat yapmaktan ayrı, kıyı kenar çizgisini değiştirmek için deniz dolgusu yaptığından 3621S.K 15. Mad göre ayrı , sahil şeridinde rıhtım,merdiven,parsel duvarları inşaat imalat yapmasından 3621S.K 14. Mad. göre ayrı ceza almasının engellemeye çalışmalarından , dosyadaki pek çok kanuna aykırı yapılan iş ve işlemleri örtbas etmeye gayret etmelerinden görevi kötüye kullanmak suçu ile itham edilebileceklerini tüm belge ve fotoğrafların incelenmesinden anlaşılmaktadır.
İş bu rapor Ada gazetesinin talebi üzerine ve yapılacak soruşturmalara ışık tutması için hazırlanmıştır.
UZMAN BİLİRKİŞİ
İşte sayın başkan ve yardımcısı tereke mühür ve arkasında yatanlar. Bu yer ile ilgili yazı dizimizi, yerin yeni durumuyla birlikte yine uzman bilirkişi yorumuyla tamamlayacağız.
Adalar Belediyesi yetkililerinin her vatandaşına bu çabayı göstermesi halinde görevin kötüye kullanmalarında ilçelerindeki vatandaşlarını koruma refleksi içinde olmalarından dolayı iyi niyet çerçevesinde oldukları için hafifletici sebep olarak düşünülebilecekse de yine ilçelerindeki vatandaşlarından birisini bırakın deniz dolgusunu, sahil şerit işgalini ve inşai faaliyetlerini basit pencere, balkon, iç dış cephe boyamalarından dolayı 3194 SK’nun 42. Mad. göre hapis cezası alıp hapis yattıysa o vakit o vatandaşın ne günahı vardı da o hayatının 2 senesini çok daha küçük neden ile hapis yatarken neden bahse konu olan bu parselin ve benzer yalıların, villaların, konakların zengin iş adamlarının ve mülk sahiplerinin yapılan illegal iş ve işlemlerinin ört bas edilmeye, kayırılmaya çalışılmasının sebebi olarak düşünülen metanın adı Kanunlarda ve Kamuoyunda bellidir. Yargıya taşınması halinde delilleri ne kadar örtbas edilmeye çalışılsa da parselin ve binanın eski ve yeni fotoğrafları ve son hali konunun uzmanı olan bilirkişiler tarafından bu raporun benzeri hazırlanacak sonuçta ağır ceza almaları kaçınılmaz olacaktır. Bu konuda her ne nedenle olursa olsun görevi kötüye kullananlar ile mal sahibi, müteahhit ve proje müellifi olan kişilerin yargılanmaları Kamu vicdanının rahatlaması için gerekli bir örnektir. Anayasamıza göre Kanunlar karşısında herkes eşit muamele görür ve hiç kimseye makam, mevki, iş adamı, zengin, fakir demeden farklı muamele yapılmaz deniyorsa ilgili kanunların tüm maddeleri gereği işlemleri Belediyenin anılan parsel sahibine istisnasız uygulaması gerekir idi.
Belediye ruhsata bağlanmasının mümkün olmayacak inşaat işlerine Bakım Onarım ruhsatı vermesi daha sonrada komple bitmiş binaya kendilerini kurtarmak adına yapı tatil tutanakları tutulup encümen para cezası ve yıkım kararı vererek kendilerini sağlama alması ve bir para cezası verilerek yıkımına da araç gerecimiz, ekip ekipmanımız yok diyerek yapmaması (lido inşaatının yıkım kararındaki gerekçesi gibi) danışıklı anlaşmanın var olduğunu göstermektedir.
Bunun halk dilinde anlaşılır şekli şu olmuyor mu? Adalarda 1/1000 imar planları tasdik aşamasında olduğundan bakım, onarım harici ruhsat verilmesi şu an için mümkün değildir. Ama illa sen bu işi yapacağım diyorsan biz sizi bakım, onarım adı altında bir ruhsat ile inşaata başlatırız. Şikayet olmazsa sorun yok inşaatı bitirir iskanın yoksa iskan bile veririz. Yok eğer şikayet olursa da encümen para cezası ile mutlak yıkım kararını vermemiz lazım yoksa bizde yargılanabiliriz.
Peki sade vatandaş çevresine bakıyor parası olan kodaman adalılar yada adalı olmayıp sadece yazlığa gelen adada yazlığı, villası, konağı, malikanesi olan zenginler, paralı duygusal işadamları kıyı kenar çizgisine tacavüz ederek yalılarının alanı kadar denizi doldurup kendilerine rıhtımlar, bu rıhtımların içine denize sıfır havuzlar, iskeleler, dalgakıranlar, neredeyse yalılarının önüne yatları için marina yapacak kadar illegal inşaatlar yapılıyor, sahillere kadar yatay düşey asansörler yaptırıyorlar, sahiller hesapta halka açık olmalıdır diye kanun koyucunun kıyıları koruyan kanunları varken sahiller yağma altında olduğunu görüyor bende bari bir balkon yapıp kahvaltı keyfimi yarım m2’lik balkonda yapayım diyor işte Adalar Belediyesinin yaptırıcı gücü bir anda ortaya çıkıyor. Mıntıka mühendisi Zabıta ile gelip yapı tatil tutanağı tutuyor. Sonra bekliyor balkon yapma cesaretini gösteren sade vatandaşın duygusallığını. Ama nerede sade vatandaş evini zor geçindiriyor. Balkonu yaptıracak parayı zor bulmuş. Ustanın yanında kendisi beton için harç karıyor ki parası yetsin balkona. Verecek parası yok başka kimseye.
İşte o vakit Devletin gücü ve cezasını hissediyor üzerinde. Yıkım ekibi bir anda ortaya çıkıyor. Adamcağızın balkonu yıkılıyor, encümenden para cezası arkasından geliyor. Ama en önemlisi de sade vatandaş olduğu içinde Belediye yetkililerine de duygusal davranmadığı içinde yarım m2 balkon için Cumhuriyet Başsavcılığına suç duyurusunda bulunuluyor. Avukatı varsa 2 yıl yoksa 5 seneye kadar hapis cezası veriliyor. Sonrada tek umutları yine seçim zamanı kendileri için Rahşan affı gibi bir af çıkmasını beklemek oluyor.
Her ne kadar 29 Pafta,130 Ada,6 parseldeki uygunsuzluklar ve ilk verilen ruhsata aykırılıklar kağıt üzerinde düzeltilip Kurulda bu yanlışa ortak edilmiş olabilirse de şu anki mevcut durumdan dolayı yapılacak şikayette bu aykırılıklar eski haline getirilmediyse (zemin kotlarının teklif vaziyet planındaki eski hali kotlarına getirilmesi mümkün gözükmemektedir) açıkça tüm aykırılıklar ortada olacağı için sonuç değişmeyecektir
29 Pafta,130 Ada,6 parselin el değiştiren mülk bu defa yeni sahipleri tarafından da aynı imalatların yenilenmesine başlanılmış bu kere yeni sahibini vefatı ile varislerinin mahkemeye müracaatı üzerine TEREKE MÜHÜRÜ denen mirasın korunmasına yönelik bir mühürlemenin yapıldığı görülmüştür. Ancak bu mühürlemeler yeni sahiplerinin eski binasını komple temelden sil baştan inşaatının yapılmasını hatta binanın gabarisini değiştirecek şekilde fazla kat yapılmasına, sahil şeridindeki illegal inşaatların devamını ,eski iskelenin yerine daha geniş, yüksek, uzun iskele yapılanmasına ve deniz dolgusunun ilerletilmesine, asansör yapılmasına, yeni rıhtım yapılmasını engellememiştir. Tam gaz devam eden inşaat işlerine daha sonra detaylı olarak gelen yeni verilerimiz, fotoğraflarımız, kuş bakışı çekilen helikopter fotoğrafları dahil söz konusu parselin detaylı tüm açılardan fotoğrafları ile ve bunları yorumlayacak uzman bilirkişi raporunu ek yaparak anılan parsel ile ilgili yazı dizimizi tamamlayacağız.
Bu tip yıkım kararlı eski dosyalar ile kendilerinin göreve geldiklerinden beridir olan sorunlu dosyaların izlerini kapatmak içinde eski ve yeni belediye başkanları Adalar’daki cadde, sokak isimleri 1946 yılından bugüne kadar 3 kez değiştirildiği iddia edilmektedir.
Adalar’da cadde ve sokak isimleri neden değiştirilir. Belediyeye ve adada yaşayanlara ne kazanımı vardır. Bilakis adada yaşayanlar çok rahatsız olmuştur. Hala yeni adreslerini bilmeyen adalılar vardır. Kapı numaralarının değiştirilmesi Belediyeye ne gibi katkı veya menfaat sağlamaktadır. Ancak bu tip dosyaların izlerini kaybettirmek için çok işe yarayacağı da muhakkaktır.
Böyle giderse Atilla Aytaç 2-3 sene sonra görev süresinin sonuna doğru tüm Adalar’daki özellikle büyük firmaların, zengin iş adamlarının, nüfuslu adalı veya yazlıkçıların sahibi oldukları parsellerdeki 3194 S.K aykırı inşaatların izlerin kaybolması için tekrar cadde ve sokak isimlerini değiştirirse şaşırmamak lazımdır. (Yanındaki yerin parsel ve pafta numaralarının 3 kere değişmesi gibi) Ama ne yapılırsa yapılsın Ada Gazetesi olarak legal olmayan tüm iş ve işlemleri takip edip sizlerle paylaşacağımızdan kuşkunuz olmasın. 29 Pafta,130 Ada,6 parsel ile ilgili yeni belgeleri ve yeni açıklamalarımızı yine konunun Uzmanının Raporunu ek yaparak sizlerle paylaşacağız.
Şükrü ABANOZ
Subscribe to get the latest posts sent to your email.